Verordnung
der Landeshauptstadt München über das Verbot des Verzehrs und des Mitführens
alkoholischer Getränke auf öffentlichen Flächen im Bereich des Hauptbahnhofes
vom 22. Dezember 2020
Stadtratsbeschluss:
16.12.2020
Bekanntmachung:
11.01.2021 (MüABl. S.
1)
Die Landeshauptstadt München erlässt aufgrund von Art. 30 des Gesetzes über das Landesstrafrecht und das Verordnungsrecht auf dem Gebiet der öffentlichen Sicherheit und Ordnung (Landesstraf- und Verordnungsgesetz – LStVG) in der Fassung der Bekanntmachung vom 13.12.1982 (BayRS 2011-2-I), zuletzt geändert durch Gesetz vom 27.04.2020 (GVBl. S. 236), folgende Verordnung:
§ 1 Räumlicher und zeitlicher Geltungsbereich
(1) Diese Verordnung regelt das Verbot des Verzehrs und des
Mitführens von alkoholischen Getränken für nachfolgend näher bezeichnete
öffentliche Flächen außerhalb
- von Gebäuden,
- den zugänglichen Flächen im Bereich der Bahnanlagen der Deutschen Bahn AG
-
sowie der genehmigten Freischankflächen.
Der
räumliche Geltungsbereich der Verordnung ist wie folgt begrenzt:
Bahnhofplatz
(einschließlich Bahnhofplatz 5 mit gegenüberliegender Straßenseite bis
Bayerstraße), Arnulfstraße bis Kreuzungsbereich Paul-Heyse-Unterführung,
Pfefferstraße, Paul-Heyse-Unterführung, Bayerstraße beginnend ab Höhe
Hausnummer 24 bis einschließlich Kreuzungsbereich Schillerstraße,
Schützenstraße ab Bahnhofplatz bis einschließlich Luitpoldstraße sowie Prielmayerstraße ab Bahnhofplatz bis einschließlich
Luitpoldstraße und Luitpoldstraße zwischen Prielmayerstraße
und Schützenstraße.
Erfasst
von dem Geltungsbereich ist die dem öffentlichen Verkehr freigegebene Fläche an
den Anwesen Bayerstraße 14,16 und 16 a.
Umfasst
werden die in dem genannten Bereich liegenden
- dem öffentlichen Verkehr gewidmeten Straßen, Wege und Plätze im Sinne des Bayerischen Straßen- und Wegegesetzes,
- die im Eigentum der öffentlichen Hand stehenden Flächen, die öffentlich zugänglich sind und
-
die im Privateigentum stehenden Flächen, die für den öffentlichen
Verkehr freigegeben sind.
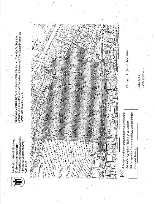
Die genauen Grenzen für das Verbot des Verzehrs und des Mitführens
von alkoholischen Getränken auf öffentlichen Flächen im Bereich des
Hauptbahnhofes im Sinne dieser Verordnung ergeben sich aus der beigefügten
Karte, ausgefertigt am 22.12.2020, die als Anlage Bestandteil dieser Verordnung
ist.
(2) Die in § 2 dieser Verordnung geregelten Verbote gelten täglich in der Zeit von 00:00 Uhr bis 24:00 Uhr.
§ 2 Alkoholverbot
Im Geltungsbereich der Verordnung ist es verboten,
a) alkoholische Getränke zu verzehren oder
b) alkoholische Getränke mit sich zu führen, wenn diese den Umständen nach zum dortigen Verzehr bestimmt sind.
§ 3 Ausnahmen
Aufgrund besonderer Anlässe kann die Landeshauptstadt
München, Kreisverwaltungsreferat, in Einzelfällen ganz oder teilweise Ausnahmen
vom Verbot des § 2 dieser Verordnung zulassen.
§ 4 Ordnungswidrigkeiten
(1) Wer der Vorschrift des § 2 dieser Verordnung
zuwiderhandelt, kann gemäß Art. 30 Abs. 2 LStVG in
Verbindung mit den Vorschriften des Gesetzes über Ordnungswidrigkeiten (OWiG)
in der jeweils geltenden Fassung mit Geldbuße belegt werden.
(2) Andere Bußgeld- oder Strafvorschriften bleiben
unberührt.
§ 5 Inkrafttreten und
Geltungsdauer
(1) Diese Verordnung tritt am 21.01.2021
in Kraft.
(2) Die Geltungsdauer dieser Verordnung beträgt zwei Jahre.
